By Donna Durckel, County of San Diego Communications Office
Mar. 3, 2026 | 10:03 AM
Reading Time: 3 minutes
The California Department of Food and Agriculture (CDFA) declared a new citrus quarantine in Ramona, CA on March 2 after two citrus trees in a residential area tested positive for Huanglongbing (HLB), also known as citrus greening. The detections were made during routine inspections.
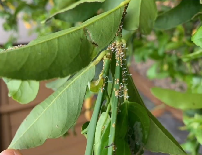
HLB is one of the most destructive citrus diseases in the world. The bacterial disease causes bitter, misshapen fruit unsuitable for sale or eating and eventually kills infected trees. Symptoms can include mottled yellow leaves that often appear in asymmetrical patterns.
Citrus greening on citrus leaves
yellowed, unhealthy citrus leaves
Citrus is one of San Diego County’s most valuable crops, worth nearly $140 million according to the 2024 Crop Report. More than 100 businesses may be affected by the new quarantine, including growers with approximately 10 acres of commercial citrus, two commercial nurseries and a farmer’s market in downtown Ramona.
This is the first HLB quarantine in the Ramona area and adds to the existing HLB quarantines in Oceanside, Rancho Bernardo, Valley Center, and Fallbrook. Quarantine maps are available online.
The quarantine protects the region’s food supply, agricultural economy and environmental sustainability. It restricts the movement of citrus plants, plant parts and fruit outside the quarantine boundaries. The only exception is for agricultural businesses that must follow strict requirements for treatment, cleaning and packing before transporting fruit.
County Agriculture, Weights and Measures officials are urging residents and growers to help stop the spread of the deadly citrus disease.
“Valuable lessons from Florida’s devastating HLB experience have shaped the way CA regulates and responds to citrus threats,” said Agricultural Commissioner Ha Dang. “So far, this has helped limit the HLB destruction of CA’s citrus industry,” she added.
There is no cure for HLB. The disease is not harmful to people or animals, but infected trees will die. Agriculture experts say the most effective way to slow the disease is to remove infected trees and treat nearby trees for Asian Citrus Psyllid (ACP), the insect that spreads HLB. This process uses products like common home-and-garden products or flea treatments for dogs and cats.
Following the detections, CDFA will work with residents to coordinate treatment and the removal of infected trees, if needed. Licensed applicators contracted by CFDA apply all treatments to ensure safety and prevent any environmental impacts. Property owners are notified at multiple stages of citrus sampling and quarantine activities.
Official surveying will increase in the coming weeks. County officials are also proactively notifying local citrus growers, plant nurseries and other related businesses.
Residents can help protect their citrus trees by taking the following actions:
Do not move citrus plants, leaves or foliage into or out of the quarantine area.
Remove all leaves and stems and thoroughly wash backyard citrus before moving from the property where it was grown.
Dry or double-bag plant clippings prior to disposal.
Cooperate with agricultural officials who inspect, sample or treat trees.
If you choose not to maintain a citrus tree, consider professional tree removal service to prevent it from hosting the pest and disease.
Only buy citrus trees from reputable local nurseries.
Report sick-looking or declining citrus trees, especially those that appear well-watered and maintained, by contacting CDFA’s toll-free Pest Hotline at (800) 491-1899 or visit cdfa.ca.gov/plant/acp.
Learn more and find out if you live in or near a quarantine zone via the County’s Citrus Quarantine Program at sandiegocounty.gov/AWM/CQP, or by contacting (858) 614-7770 or sdcawm@sdcounty.ca.gov.
Donna Durckel is a group communications officer with the County of San Diego Communications Office.

















